
Mùa bão ở Đại Tây Dương kéo dài từ tháng 6 đến tháng 11. Theo dự báo bão mới nhất từ các nhà nghiên cứu bão tại Đại học Bang Colorado (CSU), Mỹ, do hiện tượng El Nino đang hình thành mạnh dần, mùa bão năm nay có thể khác với những mùa bão dữ dội trong hầu khắp thập kỷ qua.
Các chuyên gia dự báo mùa bão năm nay sẽ thấp hơn mức trung bình, với khoảng 13 cơn bão được đặt tên, bao gồm cả bão nhiệt đới và bão cuồng phong. Trong số này, 6 cơn bão có thể mạnh lên thành bão cuồng phong và 2 cơn bão đạt cấp 3 trở lên (bão lớn).
Lần gần nhất các chuyên gia của CSU đưa ra dự báo mùa bão thấp hơn trung bình ngay từ đầu là năm 2023. Tuy nhiên, bão năm đó lại cao hơn bình thường, trái ngược với hầu hết các dự báo ban đầu do nhiệt độ đại dương nóng kỷ lục.
Có một tín hiệu quan trọng khác trong dự báo bão năm 2026 là khả năng El Nino quay trở lại, khiến các nhà dự báo tự tin hơn so với thông thường rằng tổng thể bão sẽ giảm, ông Phil Klotzbach, nhà khoa học nghiên cứu cấp cao và là tác giả chính của bản dự báo của CSU, cho hay.
Bản dự báo bão của CSU xác định El Nino là “yếu tố chi phối chính” đối với mùa bão 2026. Hiện tượng La Nina đã kéo dài từ mùa thu năm ngoái đã kết thúc trong tháng này, nhường chỗ cho trạng thái trung tính.
Theo dự báo mới nhất của NOAA, El Nino dự kiến hình thành rõ rệt vào cuối mùa xuân và chính thức bắt đầu vào giữa mùa hè. Điều này đồng nghĩa El Nino sẽ hiện diện trong giai đoạn cao điểm của mùa bão, kéo dài từ giữa tháng 8 đến giữa tháng 10.
Các nhà dự báo thời tiết theo dõi chặt chẽ El Nino và La Nina, bởi những hiện tượng này ảnh hưởng đến thời tiết theo cách khá ổn định và có thể dự đoán trước, đặc biệt khi El Nino và La Nina mạnh.
Thời điểm và cường độ chính xác của El Nino sẽ quyết định mức độ ảnh hưởng đến mùa bão. Hiện có những dấu hiệu ban đầu cho thấy El Nino có thể trở nên khá mạnh, thậm chí thành siêu El Nino, nhưng vẫn còn quá sớm để khẳng định chắc chắn.
Dù El Nino báo hiệu khả năng mùa bão ít hơn trung bình, xu hướng nhiệt độ đại dương hiện nay lại đưa ra tín hiệu trái chiều.
Nhiệt độ đại dương đang cao hơn bình thường ở phía tây vùng nhiệt đới Đại Tây Dương - khu vực gần Caribe. Theo CSU, trong tháng 4, mức nhiệt này thường “có tương quan tốt” với các mùa bão hoạt động mạnh.
Tuy nhiên, nhiệt độ đại dương hiện thấp hơn bình thường ở một số khu vực giữa và phía đông Đại Tây Dương nhiệt đới - điều này thường gắn với những mùa bão yên ắng hơn.
Nhiệt độ bề mặt biển sẽ tiếp tục tăng trong suốt mùa xuân và mùa hè, đạt đỉnh vào khoảng đầu tháng 9. Thời điểm nước biển ấm nhất rất quan trọng vì đây là nguồn năng lượng cho mọi hệ thống bão.
Ô nhiễm từ nhiên liệu hóa thạch làm nóng lên toàn cầu đang khiến đại dương nóng hơn, từ đó tiếp sức cho những cơn bão nguy hiểm hơn.
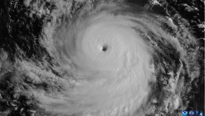
Các nhà khoa học cho biết, đại dương nóng ấm bất thường có thể dẫn đến nhiều trường hợp bão tăng cấp thần tốc, giống như 4 cơn bão năm ngoái. Trong đó, 3 cơn bão mạnh lên thành siêu bão cấp 5: Erin, Humberto và Melissa.
Nếu nhiệt độ đại dương tăng cao hơn dự kiến có thể làm suy yếu ảnh hưởng của El Nino, từ đó mở ra khả năng mùa bão sẽ dữ dội hơn.

